手机版精品推荐
夏黑葡萄苗


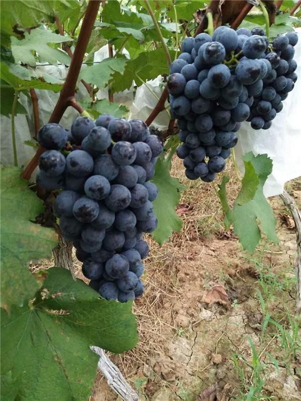
金琳葡萄苗木基地占地面积200亩,基地常年大量新品种葡萄苗,种类繁多,规格齐全,可按照客户的意思对葡萄苗进行处理。让您乘兴而来,满意而归。

葡萄苗新品种主要有:蓝宝石,浪漫红颜,早巨峰,早玫瑰香,新品种绍星一号、妮娜公主、七星女王、特早白玫瑰、美国五号、春光、蜜光、峰光、夏至红、早生内玛斯、心愿、雄宝、红宝石、阳光玫瑰、春玫瑰、早霞玫瑰、滕稔、金田玫瑰、黑色甜菜、巨玫瑰、玫瑰香、火焰无核、A17、克伦生、A09、维多利亚、金手指、金田美指、东方之星、魏可、美人指、摩尔多瓦、无核早红(8611)、京亚、碧香无核、红提、黑巴拉多、红巴拉多、早生内玛斯、美国无核、妮娜皇后、早夏无核夏黑、冰美人,东方指(红指)、夏至红、甬优一号、红乳、醉金香、金田蜜、巨峰、紫脆无核、紫甜无核、圣诞玫瑰、(火焰无核)等。

本基地拥有专业员工团队,葡萄苗都是人工种植,人工繁育的,葡萄苗等级分明,全部为机械启苗,捆苗时经严格分极,确保客户所求购葡萄苗为一级葡萄苗,葡萄苗木无任何病害,根系完整。

本基地各种大小苗规格齐全,价格合理,欢迎各界新老客户来光临考察,看苗订货。

更多详情